Click here to view entire ordinance
SALT LAKE CITY ORDINANCE
No. 14 of 2019
(An ordinance amending various sections of Title 21A of the Salt Lake City Code
pertaining to Conditional Building and Site Design Review)
An ordinance amending various sections of Title 21A of the Salt Lake City Code pursuant to Petition No. PLNPCM2016-00615 to modify design review regulations.
WHEREAS, the Salt Lake City Planning Commission held a public hearing on February 28, 2018 to consider a petition submitted by the Salt Lake City Council (“Applicant”) (Petition No. PLNPCM2016-00615) to amend Chapters 21A.06 (Zoning: Decision Making Bodies and Officials); 21A.10 (Zoning: General Application and Public Hearing Procedures); 21A.24 (Zoning: Residential Districts); 21A.26 (Zoning: Commercial Districts); 21A.28 (Zoning: Manufacturing Districts); 21A.30 (Zoning: Downtown Districts); 21A.31 (Zoning: Gateway Districts); 21A.32 (Zoning: Special Purpose Districts); 21A.33 (Zoning: Land Use Tables); 21A.34 (Zoning: Overlay Districts); 21A.37 (Zoning: Design Standards); 21A.46 (Zoning: Signs); 21A.58 (Zoning: Site Plan Review); 21A.59 (Zoning: Conditional Building and Site Design Review); 21A.60 (Zoning: List of Terms); and 21A.62 (Zoning: Definitions) of the Salt Lake City Code to modify design review regulations; and
WHEREAS, at its February 28, 2018 meeting, the planning commission voted in favor of transmitting a positive recommendation to the Salt Lake City Council on said petition; and
WHEREAS, after a public hearing on this matter the city council has determined that adopting this ordinance is in the city’s best interests.
NOW, THEREFORE, be it ordained by the City Council of Salt Lake City, Utah:
PART I:
AMENDING CHAPTER 21A.59
SECTION 1. Amending the text of Salt Lake City Code Chapter 21A.59. That Chapter 21A.59 of the Salt Lake City Code (Zoning: Conditional Building and Site Design Review) shall be, and hereby is amended to read as follows:
Chapter 21A.59
DESIGN REVIEW
21A.59.010: PURPOSE STATEMENT:
21A.59.020: AUTHORITY:
21A.59.030: DESIGN REVIEW PROCESS:
21A.59.040: SCOPE OF MODIFICATIONS AUTHORIZED:
21A.59.050: STANDARDS FOR DESIGN
REVIEW:
21A.59.060: Time limit on approved applications for design review:
21A.59.070: Effect of approval of applications for design
review:
21A.59.080: Modifications to approved design review
plans:
21A.59.010 Purpose Statement:
The purpose of the design review chapter is to: 1) establish a process and standards of review for minor modifications to applicable design standards, and 2) ensure high quality outcomes for larger developments that have a significant impact on the city. The intent of the process to review applications for minor modifications to applicable design standards is to allow some flexibility in how the design standards are administered by recognizing that the zoning ordinance cannot anticipate all development issues that may arise. The intent of the process to review larger developments is to verify new developments are compatible with their surroundings, impacts to public infrastructure and public spaces are addressed, and that new development helps achieve development goals outlined in the adopted master plans of the city as identified in the purpose statements of each zoning district.
21A.59.020 Authority:
Design review shall be required pursuant to the provisions of this chapter for developments and alternate building and site design features as specified within individual zoning districts before building permits may be issued.
A. Administrative Review: The planning director may
approve, approve with modifications, deny or refer to the planning commission
modifications to specific design standards when proposed as new construction, an
addition or modification to the exterior of an existing structure, or a
modification to an existing structure as authorized in Table 21A.59.040 or when
authorized in the specific zoning district.
1. The director shall approve a request to modify a design standard if the director finds that the proposal complies with the purpose of the individual zoning district, the purpose of the individual design standards that are applicable to the project, the proposed modification is compatible with the development pattern of other buildings on the block face or on the block face on the opposite side of the street, and the project is compliant with the applicable design review objectives (Section 21A.59.050).
2. The director may approve a request to modify a design standard with conditions or modifications to the design if the director determines a modification is necessary to comply with the purpose of the base zoning district, the purpose of the applicable design standards of the base zoning, to achieve compatibility with the development pattern of other buildings on the block face or on the block face on the opposite side of the street, and the applicable design review objectives.
3. The director shall deny a request to modify a design standard if the design does not comply with the purpose of the base zoning district, the purpose of the applicable design standards or the applicable design review objectives and no modifications or conditions of approval can be applied that would make the design comply.
4. The director may forward a request to modify a design standard to the planning commission if the director finds that the request for modification is greater than allowed by this chapter, a person receiving notice of the proposed modification can demonstrate that the request will negatively impact their property, or at the request of the applicant if the director is required to deny the request as provided in this section.
B. Planning Commission Review: The following types of applications shall be reviewed by the planning commission. If an application for design review is not listed below, it shall be eligible for administrative review as outlined in Subsection 21A.59.020.A:
1. When required in the specific zoning district.
2. All projects that include a request for additional building height or a reduction to a minimum height requirement;
3. All projects that request additional square footage when authorized in the specific zoning district;
4. Projects that have applied for a modification of base zoning design standards but could not be approved administratively because they exceed limits identified in Table 21A.59.040.
5. Projects in the TSA Transit Station Area District that have a development score that requires planning commission review and approval.
C. Planning Commission Decisions: When reviewing design review applications, the planning commission may take any of the following actions:
1. The commission shall approve a project if it finds that the proposal complies with the purpose of the zoning district and applicable overlay district(s), the purpose of the individual design standards that are applicable to the project, and the project is compliant with the applicable design review objectives found in this chapter.
2. The commission may approve a project with conditions or modifications to the design if it determines a modification is necessary to comply with the purpose of the base zoning district, the purpose of the applicable design standards of the base zoning, or the applicable design review objectives.
3. The commission shall deny the design of a project if the design does not comply with the purpose of the base zoning district, the purpose of the applicable design standards or the applicable design review objectives and no modifications or conditions of approval can be applied that would make the design comply.
D. Modifications to design standards for properties within an H Historic Preservation Overlay District are subject to the processes and applicable standards outlined in Section 21A.34.020 and not this design review chapter.
21A.59.030 Design Review Process:
A. A presubmittal meeting with planning staff is recommended prior to submitting an application for design review to ensure a detailed understanding of the application submission requirements and design review process.
B. The design review application is considered complete when it includes all of the following:
1. All of the application information required for site plan review as identified in Section 21A.58 of this title.
2. Photos showing the facades of adjacent development, trees on the site, general streetscape character, and views to and from the site.
3. Demonstration of compliance with the purpose of the individual zoning district in written narrative and graphic images.
4. Demonstration of compliance with the purpose of the applicable design standards of the individual zoning district in written narrative, graphic images, and relevant calculations.
5. Demonstration of compliance with the applicable design review objectives (Section 21A.59.060) in written narrative, graphics, images, and relevant calculations.
6. The zoning administrator may waive a submittal requirement if it is not necessary in order to determine if a request for a modification to a design standard complies with the standards of review.
C. Public Notification and Engagement
1. Notice of Application for Administrative Review: Prior to the approval of an administrative decision for a modification to a specific design standard, the planning director shall provide written notice as provided in Chapter 21A.10.
2. Required Notice for Planning Commission Review:
a. Applications subject to planning commission review of this chapter are subject to notification requirements of Title 2, Chapter 2.60 of this code.
b. Any required public hearing is subject to the public hearing notice requirements found in Chapter 21A.10.
21A.59.040 Scope of Modifications Authorized:
A. The authority of the planning director through the design review process shall be limited to modification of the specific element referenced within each zoning district. For planning director review, the design standards of the applicable zoning district (see Chapter 21A.37 Design Standards), may be modified according to the following table.
Table 21A.59.040
|
Design Standards |
Primary Modification Allowed |
Secondary Modification Allowed | |
|
A. Ground Floor Use and Visual Interest |
|||
|
1. Ground Floor Use Only |
length: 10% |
depth: 20% | |
|
2. Ground Floor Use and Visual Interest |
planning commission only |
||
|
B. Building Materials |
|||
|
1. Ground Floor Building Materials |
planning commission only |
||
|
2. Upper Floor Building Materials |
planning commission only |
||
|
C. Glass |
|||
|
1. Ground Floor Glass |
10% |
||
|
2. Upper Floor Glass |
10% |
||
|
D. Building Entrances |
planning commission only |
||
|
E. Maximum Length of Blank Wall |
planning commission only |
||
|
F. Maximum Length of Street-Facing Facades |
10% |
||
|
G. Upper Floor Step Back |
|||
|
1. For street facing facades |
20% |
||
|
2. For facades facing single- or two-family residential districts |
planning commission only |
||
B. The planning commission may consider modifications that exceed allowances listed in this section or any other design standard modification authorized in the base zoning district or Chapter 21A.37.
21A.59.050: STANDARDS FOR DESIGN REVIEW:
The
standards in this section apply to all applications for design review as
follows:
For applications seeking modification of base zoning design standards, applicants shall demonstrate how the applicant’s proposal complies with the standards for design review that are directly applicable to the design standard(s) that is proposed to be modified.
For applications that are required to go through the design review process for purposes other than a modification to a base zoning standard, the applicant shall demonstrate how the proposed project complies with each standard for design review. If an application complies with a standard in the base zoning district or with an applicable requirement in Chapter 21A.37 and that standard is directly related to a standard found in this section, the planning commission shall find that application complies with the specific standard for design review found in this section. An applicant may propose an alternative to a standard for design review provided the proposal is consistent with the intent of the standard for design review.
A. Any new development shall comply with the intent of the purpose statement of the zoning district and specific design regulations found within the zoning district in which the project is located as well as the city’s adopted “urban design element” and adopted master plan policies and design guidelines governing the specific area of the proposed development.
B. Development shall be primarily oriented to the sidewalk, not an interior courtyard or parking lot.
1. Primary entrances shall face the public sidewalk (secondary entrances can face a parking lot).
2. Building(s) shall be sited close to the public sidewalk, following and responding to the desired development patterns of the neighborhood.
3. Parking shall be located within, behind, or to the side of buildings.
C. Building facades shall include detailing and glass in sufficient quantities to facilitate pedestrian interest and interaction.
1. Locate active ground floor uses at or near the public sidewalk.
2. Maximize transparency of ground floor facades.
3. Use or reinterpret traditional storefront elements like sign bands, clerestory glazing, articulation, and architectural detail at window transitions.
4. Locate outdoor dining patios, courtyards, plazas, habitable landscaped yards, and open spaces so that they have a direct visual connection to the street and outdoor spaces.
D. Large building masses shall be divided into heights and sizes that relate to human scale.
1. Relate building scale and massing to the size and scale of existing and anticipated buildings, such as alignments with established cornice heights, building massing, step-backs and vertical emphasis.
2. Modulate the design of a larger building using a series of vertical or horizontal emphases to equate with the scale (heights and widths) of the buildings in the context and reduce the visual width or height.
3. Include secondary elements such as balconies, porches, vertical bays, belt courses, fenestration and window reveals.
4. Reflect the scale and solid-to-void ratio of windows and doors of the established character of the neighborhood or that which is desired in the master plan.
E. Building facades that exceed a combined contiguous building length of two hundred feet (200’) shall include:
1. Changes in vertical plane (breaks in façade);
2. Material changes; and
3. Massing changes.
F. If provided, privately-owned public spaces shall include at least three (3) of the six (6) following elements:
1. Sitting space of at least one sitting space for each two hundred fifty (250) square feet shall be included in the plaza. Seating shall be a minimum of sixteen inches (16”) in height and thirty inches (30”) in width. Ledge benches shall have a minimum depth of thirty inches (30”);
2. A mixture of areas that provide seasonal shade;
3. Trees in proportion to the space at a minimum of one tree per eight hundred (800) square feet, at least two inch (2”) caliper when planted;
4. Water features or public art;
5. Outdoor dining areas; and
6. Other amenities not listed above that provide a public benefit.
G. Building height shall be modified to relate to human scale and minimize negative impacts. In downtown and in the CSHBD Sugar House Business District, building height shall contribute to a distinctive city skyline.
1. Human scale:
a. Utilize stepbacks to design a building that relate to the height and scale of adjacent and nearby buildings, or where identified, goals for future scale defined in adopted master plans.
b. For buildings more than three stories or buildings with vertical mixed use, compose the design of a building with distinct base, middle and top sections to reduce the sense of apparent height.
2. Negative impacts:
a. Modulate taller buildings vertically and horizontally so that it steps up or down to its neighbors.
b. Minimize shadow impacts of building height on the public realm and semi-public spaces by varying building massing. Demonstrate impact from shadows due to building height for the portions of the building that are subject to the request for additional height.
c. Modify tall buildings to minimize wind impacts on public and private spaces, such as the inclusion of a wind break above the first level of the building.
3. Cornices and rooflines:
a. Shape and define rooflines to be cohesive with the building’s overall form and composition.
b. Include roof forms that complement the rooflines of surrounding buildings.
c. Green roof and roof deck: Include a green roof and/or accessible roof deck to support a more visually compelling roof landscape and reduce solar gain, air pollution, and the amount of water entering the stormwater system.
H. Parking and on site circulation shall be provided with an emphasis on making safe pedestrian connections to the sidewalk, transit facilities, or midblock walkway.
I. Waste and recycling containers, mechanical equipment, storage areas, and loading docks shall be fully screened from public view and shall incorporate building materials and detailing compatible with the building being served. Service uses shall be set back from the front line of building or located within the structure. (Subsection 21A.37.050.K.)
J. Signage shall emphasize the pedestrian/mass transit orientation.
1. Define specific spaces for signage that are integral to building design, such as commercial sign bands framed by a material change, columns for blade signs, or other clearly articulated band on the face of the building.
2. Coordinate signage locations with appropriate lighting, awnings, and other projections.
3. Coordinate sign location with landscaping to avoid conflicts.
K. Lighting shall support pedestrian comfort and safety, neighborhood image, and dark sky goals.
1. Provide street lights as indicated in the Salt Lake City Lighting Master Plan.
2. Outdoor lighting should be designed for low-level illumination and to minimize glare and light trespass onto adjacent properties and uplighting directly to the sky.
3. Coordinate lighting with architecture, signage, and pedestrian circulation to accentuate significant building features, improve sign legibility, and support pedestrian comfort and safety.
L. Streetscape improvements shall be provided as follows:
1. One street tree chosen from the street tree list consistent with the city’s urban forestry guidelines and with the approval of the city’s urban forester shall be placed for each thirty feet (30’) of property frontage on a street. Existing street trees removed as the result of a development project shall be replaced by the developer with trees approved by the city’s urban forester.
2. Hardscape (paving material) shall be utilized to differentiate privately-owned public spaces from public spaces. Hardscape for public sidewalks shall follow applicable design standards. Permitted materials for privately-owned public spaces shall meet the following standards:
a. Use materials that are durable (withstand wear, pressure, damage), require a minimum of maintenance, and are easily repairable or replaceable should damage or defacement occur.
b. Where practical, as in lower-traffic areas, use materials that allow rainwater to infiltrate into the ground and recharge the water table.
c. Limit contribution to urban heat island effect by limiting use of dark materials and incorporating materials with a high Solar-Reflective Index (SRI).
d. Utilize materials and designs that have an identifiable relationship to the character of the site, the neighborhood, or Salt Lake City.
e. Use materials (like textured ground surfaces) and features (like ramps and seating at key resting points) to support access and comfort for people of all abilities.
f. Asphalt shall be limited to vehicle drive aisles.
21A.59.060 Time limit on approved applications for design review:
No design review approval shall be valid for a period longer than one year from the date of approval unless a building permit is issued or a complete building plans and building permit applications have been submitted to the division of building services and licensing. An extension of one year may be granted by the entity that approved the application. Extension requests must be submitted prior to the expiration of the design review approval.
21A.59.070 Effect of approval of applications for design review:
A. The approval of a design review application shall authorize the preparation, filing and processing of applications for any permits or approval that may be required by the city, including, but not limited to, a building permit.
B. Following the approval of a design review application, any future alteration to the property, building or site shall comply with the approved design review application unless a modification is approved subject to the process outlined in this chapter.
21A.59.080: Modifications to approved design review
plans:
A. Minor modifications: the planning director may authorize minor modifications to approved design review applications as listed below.
1. Dimensional requirements that are necessary in order to comply with adopted building codes, fire codes, or engineering standards. The modification is limited to the minimum amount necessary to comply with the applicable building code, fire codes, or engineering standard.
2. Minor changes to building materials provided the modification is limited to the dimension of the material, color of material, or texture of material. Changes to a different material shall not be considered a minor modification.
B. Any other modifications not listed in Subsection A of this section shall require a new application.
PART II:
AMENDING REFERENCES TO CONDITIONAL BUILDING
AND SITE DESIGN REVIEW
SECTION 2. Amending the text of Salt Lake City Code Subsection 21A.06.030.C. That Subsection 21A.06.030.C of the Salt Lake City Code (Zoning: Decision Making Bodies and Officials: Planning Commission) shall be, and hereby is amended to read as follows:
C. Jurisdiction and Authority: The planning commission shall have the following powers and duties in connection with the implementation of this title:
1. Prepare and recommend to the city council for adoption, a comprehensive, general plan and amendments to the general plan for the present and future needs of the city and the growth and development of the land within the city or any part of the city;
2. Make comprehensive surveys and studies of the existing conditions and trends of growth and of the probable future requirements of the city and its residents as part of the preparation of the general plan;
3. Initiate amendments to the text of this title and to the zoning map pursuant to the provisions of Chapter 21A.50 of this title;
4. Review, evaluate and make recommendations to the city council on proposed amendments to this title pursuant to the procedures and standards set forth in Chapter 21A.50 of this title;
5. Review, hear and decide applications for conditional uses, including planned developments, pursuant to the procedures and standards set forth in Chapters 21A.54, “Conditional Uses”, 21A.55, “Planned Developments”, and 21A.59, “Design Review”, of this title;
6. Hear and decide appeals from administrative hearing decisions of the planning director;
7. Hear and decide applications for subdivision amendments and approvals pursuant to the Municipal Land Use Development and Management Act, Title 10, Chapter 9a of the Utah Code; and
8. Authorize special exceptions to the terms of this title pursuant to the procedures and standards set forth in Chapter 21A.52, “Special Exceptions”, of this title.
SECTION 3. Amending the text of Salt Lake City Code Subsection 21A.10.020.B. That Subsection 21A.10.020.B of the Salt Lake City Code (Zoning: General Application and Public Hearing Procedures: Public Hearing Notice Requirements) shall be, and hereby is amended to read as follows:
B. Special Noticing Requirements for Administrative Approvals:
1. Design Review: The Planning Commission shall consider requests for design review (Chapter 21A.59) at a public hearing if there is an expression of interest after providing notice as follows:
a. Notification: The city shall provide written notice by first class mail a minimum of twelve (12) calendar days in advance of the requested action to all owners of the land and tenants subject to the application, as shown on the Salt Lake City geographic information system records, adjacent to and contiguous with the land subject to the application. Recognized organizations are also entitled to receive notice pursuant to Title 2, Chapter 2.60 of this code by e-mail or other form chosen by the planning director.
At the end of the twelve (12) calendar day notice period, if there are requests for a public hearing, the planning commission will schedule a public hearing and consider the issue; if there are no requests for a public hearing, the planning director may decide the issue administratively.
2. Determination of Noncontributing Status Within an H Historic Preservation Overlay District: Prior to the approval of an administrative decision for a certificate of appropriateness for demolition of a noncontributing structure, the city shall provide written notice by first class mail a minimum of twelve (12) calendar days of the determination of noncontributing status of the property to all owners of the land and tenants, within eighty five feet (85’) of the land subject to the application as shown on the Salt Lake City geographic information system records. At the end of the twelve (12) day notice period, the planning director shall either issue a certificate of appropriateness for demolition or refer the application to the Historic Landmark Commission.
3. Notice of Application for Special Exceptions: Prior to the approval of an administrative decision for special exceptions as authorized in Chapter 21A.52 of this title, the planning director shall provide written notice by first class mail a minimum of twelve (12) days in advance of the requested action to all abutting properties and those properties located across the street from the subject property, and to all property owners and tenants of the land subject to the application, as shown on the Salt Lake City geographic information system records.
a. Contents of the Mailing Notice of Application: The notice for mailing shall generally describe the subject matter of the application, the place where such application may be inspected by the public, the date when the planning director will authorize a final administrative decision, and include the procedures to appeal an administrative decision set forth in Chapter 21A.16 of this title.
4. Notice of Application for TSA Development Reviews: Prior to the approval of a development review score as authorized in Section 21A.26.078 of this title, the planning director shall provide written notice by first class mail a minimum of twelve (12) days in advance of the requested action to all abutting properties and those properties located across the street from the subject property, and to all property owners and tenants of the land subject to the application, as shown on the Salt Lake City geographic information system records.
a. Contents of the Mailing Notice of Application: The notice for mailing shall generally describe the subject matter of the application, the place where such application may be inspected by the public, the date when the planning director will authorize a final administrative decision, and include the procedures to appeal an administrative decision set forth in Chapter 21A.16 of this title.
SECTION 4. Amending the text of Salt Lake City Code Subsection 21A.24.164.E. That Subsection 21A.24.164.E of the Salt Lake City Code (Zoning: Residential Districts: R-MU-35 Residential/Mixed Use District: Maximum Building Height) shall be, and hereby is amended to read as follows:
E. Maximum Building Height: The maximum building height shall not exceed thirty five feet (35’), except that nonresidential buildings and uses shall be limited by Subsections E.1, E.2, E.3 and E.4 of this section. Buildings taller than thirty five feet (35’), up to a maximum of forty five feet (45’), may be authorized through the design review process (Chapter 21A.59); and provided that the proposed height is supported by the applicable master plan.
1. Maximum height for nonresidential buildings: Twenty feet (20’).
2. Nonresidential uses are only permitted on the ground floor of any structure.
3. Nonresidential uses in landmark sites are exempt from the maximum height for nonresidential buildings and the maximum floor area coverage limitations.
4. For any property abutting a single-family or two-family residential district, the maximum height is limited to thirty five feet (35’) and may not be increased through any process.
SECTION 5. Amending the text of Salt Lake City Code Subsection 21A.24.168.E. That Subsection 21A.24.168.E of the Salt Lake City Code (Zoning: Residential Districts: R-MU-45 Residential/Mixed Use District: Maximum Building Height) shall be, and hereby is amended to read as follows:
E. Maximum Building Height: The maximum building height shall not exceed forty five feet (45’), except that nonresidential buildings and uses shall be limited by Subsections E.1, E.2, E.3 and E.4 of this section. Buildings taller than forty five feet (45’), up to a maximum of fifty five feet (55’), may be authorized through the design review process (Chapter 21A.59) and provided that the proposed height is supported by the applicable master plan.
1. Maximum height for nonresidential buildings: Twenty feet (20’).
2. Nonresidential uses are only permitted on the ground floor of any structure.
3. Nonresidential uses in landmark sites are exempt from the maximum height for nonresidential buildings and the maximum floor area coverage limitations.
4. For any property abutting a single-family or two-family residential district, the maximum height is limited to forty five feet (45’) and may not be increased through any process.
SECTION 6. Amending the text of Salt Lake City Code Section 21A.24.170. That Section 21A.24.170 of the Salt Lake City Code (Zoning: Residential Districts: R-MU Residential/Mixed Use District) shall be, and hereby is amended as follows:
a. Subsection 21A.24.170.E is amended to read as follows:
E. Minimum Yard Requirements:
1. Single-Family Detached Dwellings:
a. Front Yard: Fifteen feet (15’).
b. Corner Side Yard: Ten feet (10’).
c. Interior Side Yard:
(1) Corner lots: Four feet (4’).
(2) Interior lots: Four feet (4’) on one side and ten feet (10’) on the other.
d. Rear Yard: Twenty five percent (25%) of the lot depth, but need not be more than twenty feet (20’).
2. Single-Family Attached, Two-Family and Twin Home Dwellings:
a. Front Yard: Fifteen feet (15’).
b. Corner Side Yard: Ten feet (10’).
c. Interior Side Yard:
(1) Single-family attached: No yard is required, however if one is provided it shall not be less than four feet (4’).
(2) Two-family:
(A) Interior lot: Four feet (4’) on one side and ten feet (10’) on the other.
(B) Corner lot: Four feet (4’).
(3) Twin home: No yard is required along one side lot line. A ten foot (10’) yard is required on the other.
d. Rear Yard: Twenty five percent (25%) of lot depth or twenty five feet (25’), whichever is less.
3. Multi-Family Dwellings and Any Other Residential Uses:
a. Front Yard: No setback is required.
b. Corner Side Yard: No setback is required.
c. Interior Side Yard: No setback is required.
d. Rear Yard: Twenty five percent (25%) of lot depth, but need not exceed thirty feet (30’).
4. Nonresidential Development:
a. Front Yard: No setback is required.
b. Corner Side Yard: No setback is required.
c. Interior Side Yard: No setback is required.
d. Rear Yard: Twenty five percent (25%) of lot depth, but need not exceed thirty feet (30’).
5. Existing Lots: Lots legally existing on the effective date hereof, April 12, 1995, shall be considered legal conforming lots.
6. Minimum Lot Area Exemptions: For multiple-unit residential uses, nonresidential and mixed uses, no minimum lot area is required. In addition, no front, corner side or interior side yards or landscaped setbacks are required; except where interior side yards are provided, they shall not be less than four feet (4’).
7. Existing Buildings: For buildings legally existing on the effective date hereof, required yards shall be no greater than the established setback line.
8. Maximum Setback: For single-family, two-family, and twin home dwellings, at least twenty five percent (25%) of the building facade must be located within twenty five feet (25’) of the front lot line. For all other uses, at least twenty five percent (25%) of the building facade must be located within fifteen feet (15’) of the front lot line. Exceptions to this requirement may be authorized as design review, subject to the requirements of Chapter 21A.59 of this title, and the review and approval of the planning commission. The planning director, in consultation with the transportation director, may modify this requirement if the adjacent public sidewalk is substandard and the resulting modification to the setback results in a more efficient public sidewalk. The planning director may waive this requirement for any addition, expansion, or intensification, which increases the floor area or parking requirement by less than fifty percent (50%) if the planning director finds the following:
a. The architecture of the addition is compatible with the architecture of the original structure or the surrounding architecture.
b. The addition is not part of a series of
incremental additions intended to subvert the intent of the
ordinance.
Appeal of administrative decision is to the planning
commission.
9. Parking Setback: Surface parking lots within an interior side yard shall maintain a thirty foot (30’) landscape setback from the front property line or be located behind the primary structure. Parking structures shall maintain a forty five foot (45’) minimum setback from a front or corner side yard property line or be located behind the primary structure. There are no minimum or maximum setback restrictions on underground parking. The planning director may modify or waive this requirement if the planning director finds the following:
a. The parking is compatible with the architecture/design of the original structure or the surrounding architecture.
b. The parking is not part of a series of incremental additions intended to subvert the intent of the ordinance.
c. The horizontal landscaping is replaced with vertical screening in the form of berms, plant materials, architectural features, fencing and/or other forms of screening.
d. The landscaped setback is consistent with the surrounding neighborhood character.
e. The overall project is consistent with
Section 21A.59.050 of this
title.
Appeal of administrative decision is to the Planning
Commission.
b. Subsection 21A.24.170.F is amended to read as follows:
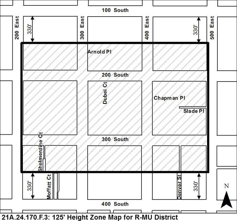
F. Maximum Building Height: The maximum building height shall not exceed seventy five feet (75’), except that nonresidential buildings and uses shall be limited by Subsections F.1 and F.2 of this section. Buildings taller than seventy five feet (75’), up to a maximum of one hundred twenty five feet (125’), may be authorized through the design review process (Chapter 21A.59) and provided, that the proposed height is located within the one hundred twenty five foot (125’) height zone indicated in the map located in Subsection F.3 of this section.
1. Maximum height for nonresidential buildings: Forty five feet (45’).
2. Maximum floor area coverage of nonresidential uses in mixed use buildings of residential and nonresidential uses: Three (3) floors.
3. One hundred twenty five foot (125’) height zone
map for the R-MU District:
FIGURE
21A.24.170.F.3

SECTION 7. Amending the text of Salt Lake City Code Subsection 21A.24.180.I. That Subsection 21A.24.180.I of the Salt Lake City Code (Zoning: Residential Districts: RO Residential/Office District: Offices in Existing Buildings on Lots Less Than Twenty Thousand Square Feet) shall be, and hereby is amended to read as follows:
I. Offices in Existing Buildings on Lots Less Than Twenty Thousand Square Feet: Offices occupying existing buildings are permitted on a five thousand (5,000) square foot minimum lot. Additions to existing buildings that are greater than fifty percent (50%) of the existing building footprint or that exceed the height of the existing building shall be subject to design review (Chapter 21A.59).
SECTION 8. Amending the text of Salt Lake City Code Subsection 21A.26.010.J. That Subsection 21A.26.010.J of the Salt Lake City Code (Zoning: Commercial Districts: General Provisions: Modifications to Maximum Height) shall be, and hereby is amended to read as follows:
J. Modifications to Maximum Height: Additions to the maximum height due to the natural topography of the site may be approved pursuant to the following procedures and standards:
1. Modifications of Ten Percent or Less of Maximum Height:
a. The planning commission may approve, as a special exception, additional height not exceeding ten percent (10%) of the maximum height pursuant to the standards and procedures of Chapter 21A.52 of this title. Specific conditions for approval are found in Chapter 21A.52 of this title.
2. Modifications of More Than Ten Percent of Maximum Height:
a. Design Review: Through design review for
properties on a sloping lot in commercial zoning districts, pursuant to Chapter
21A.59 of this title, the planning commission, or in the case of an
administrative approval the planning director or designee, may allow additional
building height of more than ten percent (10%) of the maximum height, but not
more than one additional story, if the first floor of the building exceeds
twenty thousand (20,000) square feet. The additional story shall not be exposed
on more than fifty percent (50%) of the total building
elevations.
SECTION 9. Amending the text of Salt Lake City Code Subsection 21A.26.020.F. That Subsection 21A.26.020.F of the Salt Lake City Code (Zoning: Commercial Districts: CN Neighborhood Commercial District: Minimum Yard Requirements) shall be, and hereby is amended to read as follows:
F. Minimum Yard Requirements:
1. Front or Corner Side Yard: A fifteen foot (15’) minimum front or corner side yard shall be required. Exceptions to this requirement may be authorized as design review, subject to the requirements of Chapter 21A.59 of this title, and the review and approval of the planning commission.
2. Interior Side Yard: None required.
3. Rear Yard: Ten feet (10’).
4. Buffer Yards: Any lot abutting a lot in a residential district shall conform to the buffer yard requirements of Chapter 21A.48 of this title.
5. Accessory Buildings and Structures in Yards: Accessory buildings and structures may be located in a required yard subject to Section 21A.36.020, Table 21A.36.020.B of this title.
6. Maximum Setback: A maximum setback is required for at least sixty five percent (65%) of the building facade. The maximum setback is twenty five feet (25’). Exceptions to this requirement may be authorized through the design review process, subject to the requirements of Chapter 21A.59 of this title, and the review and approval of the planning commission. The planning director, in consultation with the transportation director, may modify this requirement if the adjacent public sidewalk is substandard and the resulting modification to the setback results in a more efficient public sidewalk. The planning director may waive this requirement for any addition, expansion, or intensification, which increases the floor area or parking requirement by less than fifty percent (50%) if the planning director finds the following:
a. The architecture of the addition is compatible with the architecture of the original structure or the surrounding architecture.
b. The addition is not part of a series of incremental additions intended to subvert the intent of the ordinance.
Appeal of administrative decision is to the planning commission.
7. Parking Setback: Surface parking lots within an interior side yard shall maintain a thirty foot (30’) landscape setback from the front property line or be located behind the primary structure. Parking structures shall maintain a forty five foot (45’) minimum setback from a front or corner side yard property line or be located behind the primary structure. There are no minimum or maximum setback restrictions on underground parking. The planning director may modify or waive this requirement if the planning director finds the following:
a. The parking is compatible with the architecture/design of the original structure or the surrounding architecture.
b. The parking is not part of a series of incremental additions intended to subvert the intent of the ordinance.
c. The horizontal landscaping is replaced with vertical screening in the form of berms, plant materials, architectural features, fencing and/or other forms of screening.
d. The landscaped setback is consistent with the surrounding neighborhood character.
e. The overall project is consistent with Section 21A.59.050 of this title.
Appeal of administrative decision is to the planning commission.
SECTION 10. Amending the text of Salt Lake City Code Section 21A.26.025. That Section 21A.26.025 of the Salt Lake City Code (Zoning: Commercial Districts: SNB Small Neighborhood Business District) shall be, and hereby is amended as follows:
a. Subsection 21A.26.025.C is amended to read as follows:
C. Design Review:
1. Projects which meet the intent of this section, but not the specific design criteria outlined in the following subsections, may be approved by the planning commission pursuant to the provisions of Chapter 21A.59 of this title.
b. Subsection 21A.26.025.K is amended to read as follows:
K. New Nonresidential Construction:
1. Construction of a new principal building, parking lot or addition to an existing building for a nonresidential use that includes the demolition of a commercial structure or a structure containing residential units may only be approved through a design review process pursuant to Chapter 21A.59 of this title and provided, that in such cases the planning commission finds that the applicant has adequately demonstrated the following:
a. The replacement use for properties containing residential units will include an equal or greater number of residential units; and
b. The structure is isolated from other structures and does not relate to other structures within the residential-business neighborhood. For purpose of this section, an isolated structure is a structure that does not meet the development pattern of the block face or block faces for corner properties; and
c. The design and condition of the structure is such that it does not make a material contribution to the character of the neighborhood. A structure is considered to make a material contribution when it is similar in scale, height, width, and solid to void ratio of openings in the principal street facing facade.
SECTION 11. Amending the text of Salt Lake City Code Section 21A.26.030. That Section 21A.26.030 of the Salt Lake City Code (Zoning: Commercial Districts: CB Community Business District) shall be, and hereby is amended as follows:
a. Subsection 21A.26.030.D is amended to read as follows:
D. Lot Size Requirements: No minimum lot area or lot width is required, however any lot exceeding four (4) acres in size shall be allowed only through the design review process (Chapter 21A.59).
b. Subsection 21A.26.030.E is amended to read as follows:
E. Building Size Limits: Buildings in excess of seven thousand five hundred (7,500) gross square feet of floor area for a first floor footprint or in excess of fifteen thousand (15,000) gross square feet floor area overall, shall be allowed only through the design review process (Chapter 21A.59). An unfinished basement used only for storage or parking shall be allowed in addition to the total square footage. In addition to the design review standards in Chapter 21A.59 of this title, the planning commission shall also consider the following standards:
1. Compatibility: The proposed height and width of new buildings and additions shall be visually compatible with buildings found on the block face.
2. Roofline: The roof shape of a new building or addition shall be similar to roof shapes found on the block face.
3. Vehicular Access: New buildings and additions shall provide a continuous street wall of buildings with minimal breaks for vehicular access.
4. Facade Design: Facade treatments should be used to break up the mass of larger buildings so they appear to be multiple, smaller scale buildings. Varied rooflines, varied facade planes, upper story step backs, and lower building heights for portions of buildings next to less intensive zoning districts may be used to reduce the apparent size of the building.
5. Buffers: When located next to low density residential uses, the planning commission may require larger setbacks, landscape buffers and/or fencing than what are required by this title if the impacts of the building mass and location of the building on the site create noise, light trespass or impacts created by parking and service areas.
6. Step Backs: When abutting single-story development and/or a public street, the planning commission may require that any story above the ground story be stepped back from the building foundation at grade to address compatibility issues with the other buildings on the block face and/or uses.
c. Subsection 21A.26.030.F is amended to read as follows:
F. Minimum Yard Requirements:
1. Front or Corner Side Yard: No minimum yard is required. If a front yard is provided, it shall comply with all provisions of this title applicable to front or corner side yards, including landscaping, fencing, and obstructions.
2. Interior Side Yard: None required.
3. Rear Yard: Ten feet (10’).
4. Buffer Yards: Any lot abutting a lot in a residential district shall conform to the buffer yard requirements of Chapter 21A.48 of this title.
5. Accessory Buildings and Structures in Yards: Accessory buildings and structures may be located in a required yard subject to Section 21A.36.020, Table 21A.36.020.B of this title.
6. Maximum Setback: A maximum setback is required for at least seventy five percent (75%) of the building facade. The maximum setback is fifteen feet (15’). Exceptions to this requirement may be authorized through the design review process, subject to the requirements of Chapter 21A.59 of this title, and the review and approval of the planning commission. The planning director, in consultation with the transportation director, may modify this requirement if the adjacent public sidewalk is substandard and the resulting modification to the setback results in a more efficient public sidewalk. The planning director may waive this requirement for any addition, expansion, or intensification, which increases the floor area or parking requirement by less than fifty percent (50%) if the planning director finds the following:
a. The architecture of the addition is compatible with the architecture of the original structure or the surrounding architecture.
b. The addition is not part of a series of incremental additions intended to subvert the intent of the ordinance.
Appeal of administrative decision is to the planning commission.
1. Parking Setback: Surface parking is prohibited in a front or corner side yard. Surface parking lots within an interior side yard shall maintain a twenty foot (20’) landscape setback from the front property line or be located behind the primary structure. Parking structures shall maintain a thirty five foot (35’) minimum setback from a front or corner side yard property line or be located behind the primary structure. There are no minimum or maximum setback restrictions on underground parking. The planning director may modify or waive this requirement if the planning director finds the following:
a. The parking is compatible with the architecture/design of the original structure or the surrounding architecture.
b. The parking is not part of a series of incremental additions intended to subvert the intent of the ordinance.
c. The horizontal landscaping is replaced with vertical screening in the form of berms, plant materials, architectural features, fencing and/or other forms of screening.
d. The landscaped setback is consistent with the surrounding neighborhood character.
e. The overall project is consistent with Section 21A.59.050 of this title.
Appeal of administrative decision is to the planning commission.
SECTION 12. Amending the text of Salt Lake City Code Subsection 21A.26.050.F. That Subsection 21A.26.050.F of the Salt Lake City Code (Zoning: Commercial Districts: CC Corridor Commercial District: Maximum Height) shall be, and hereby is amended to read as follows:
F. Maximum Height: No building shall exceed thirty feet (30’). Buildings higher than thirty feet (30’) may be allowed in accordance with the provisions of Subsections F.1 and F.2 of this section.
1. Procedure for Modification: A modification to the height regulations in this Subsection F may be granted through the design review process in conformance with the provisions of Chapter 21A.59 of this title. In evaluating an application submitted pursuant to this section, the planning commission shall find that the increased height will result in improved site layout and amenities.
2. Landscaping: If an additional floor is approved, increased landscaping shall be provided over and above that which is normally required for landscape yards, landscape buffer yards, and parking lot perimeter and interior landscaping. The amount of increased landscaping shall be equal to ten percent (10%) of the area of the additional floor.
3. Maximum Additional Height: Additional height shall be limited to fifteen feet (15’).
SECTION 13. Amending the text of Salt Lake City Code Section 21A.26.060. That Section 21A.26.060 of the Salt Lake City Code (Zoning: Commercial Districts: CSHBD Sugar House Business District (CSHBD1 and CSHBD2)) shall be, and hereby is amended as follows:
a. Subsection 21A.26.060.D is amended to read as follows:
D. Design Review: All new construction of principal buildings that exceed fifty feet (50’) in height in the CSHBD1 district or thirty feet (30’) in height in the CSHBD2 district or twenty thousand (20,000) square feet in size in either district shall be subject to design review. The planning commission has the authority to approve projects through the design review process. Design review shall be approved in conformance with the business district design guideline handbook and the provisions of Chapter 21A.59 of this title.
b. Subsection 21A.26.060.F is amended to read as follows:
F. Minimum Yard Requirements:
1. Front and Corner Side Yards: No minimum yard is required.
2. Maximum Setback: The maximum setback is fifteen feet (15’). Exceptions to this requirement may be authorized through the design review process, subject to the requirements of Chapter 21A.59 of this title, and the review and approval of the planning commission. The planning director, in consultation with the transportation director, may modify this requirement if the adjacent public sidewalk is substandard and the resulting modification to the setback results in a more efficient public sidewalk, and/or the modification conforms with the business district design guidelines handbook. Appeal of an administrative decision is to the planning commission.
3. Interior Side Yards: None required.
4. Rear Yards: No minimum yard is required.
5. Buffer Yards: All lots abutting a lot in a residential district shall conform to the buffer yards and landscape requirements of Chapter 21A.48 of this title. In addition, for those structures located on properties zoned CSHBD that abut properties in a low density, single-family residential zone, every three feet (3’) in building height above thirty feet (30’), shall be required a corresponding one foot (1’) setback from the property line at grade. This additional required setback area can be used for landscaping or parking.
SECTION 14. Amending the text of Salt Lake City Code Subsection 21A.26.070.F. That Subsection 21A.26.070.F of the Salt Lake City Code (Zoning: Commercial Districts: CG General Commercial District: Maximum Height) shall be, and hereby is amended to read as follows:
F. Maximum Height: No building shall exceed sixty feet (60’). Buildings higher than sixty feet (60’) may be allowed in accordance with the provisions of Subsections F.1 and F.3 of this section.
1. Procedure for Modification: A modification to the height regulations in this Subsection F may be granted through the design review process in conformance with the provisions of Chapter 21A.59 of this title. In evaluating an application submitted pursuant to this section, the planning commission or in the case of an administrative approval the planning director or designee, shall find that the increased height will result in improved site layout and amenities.
2. Landscaping: If additional floors are approved, increased landscaping shall be provided over and above that which is normally required for landscape yards, landscape buffer yards, and parking lot perimeter and interior landscaping. The amount of increased landscaping shall be equal to ten percent (10%) of the area of the additional floors.
3. Maximum Additional Height: Additional height shall be limited to thirty feet (30’).
SECTION 15. Amending the text of Salt Lake City Code Section 21A.26.078. That Section 21A.26.078 of the Salt Lake City Code (Zoning: Commercial Districts: TSA Transit Station Area District) shall be, and hereby is amended as follows:
a. Subsection 21A.26.078.C is amended to read as follows:
C. Review Process: The review process for all new development and redevelopment within the Transit Station Area Zoning District is based on the development score which is generated by the “Transit Station Area Development Guidelines” hereby adopted by reference.
1. The following types of development are required to go through this review process:
a. Any addition of one thousand (1,000) square feet or more that extend a street facing building facade or are located to the side of a building and are visible from a public space; or
b. Additions that increase the height of an existing building or change the existing roofline;
c. Additions to the rear of buildings that are not adjacent to a public street, trail or other public space are not required to obtain a development score but must comply with all other applicable regulations. Signs, fences, accessory structures and any other structure or addition not listed in this section are not required to obtain a development score.
d. Single-family detached dwellings and two-family dwellings are not required to obtain a development score.
2. Application process steps:
a. Presubmittal Conference: All applicants for development within the Transit Station Area Zoning District are required to attend a presubmittal conference with the planning division. The purpose of the presubmittal conference is to notify the applicant of the goals of the station area plans, the standards in this section, and the review and approval process.
b. Development Review Application: After a presubmittal conference, the developer can submit a development review application. This application and all submittal requirements will be used to determine the development score. The application shall include a score sheet on which the development guidelines and their assigned values are indicated and two (2) checklists: one (1) for the applicant’s use and one (1) for the planning division’s use.
c. Public Noticing: A notice of application for a development review shall be provided in accordance with Chapter 21A.10 of this title.
d. Application Review: Table 21A.26.078.C.2.d of this section summarizes the application review process. All applications shall be processed as follows:
(1) Tier 1 Planning Commission Review: If a project is assigned a score less than 125 points, the project can only be approved by the planning commission through the Design Review process in Chapter 21A.59 of this title. Once the applicant receives written notice of their score, they will be given thirty (30) days to notify the planning division of their intention to proceed with the project through the design review process or make necessary plan adjustments to increase their development score to the minimum level in order to go through an administrative review process.
(2) Tier 2 Administrative Review: The planning director has the authority to approve a project scoring 125 points or more without holding a public hearing. The project shall be allowed to go through the standard building permit process. A public hearing is not required because the project incorporates adequate development guidelines or development incentives to be deemed compliant with the vision for the station area.
TABLE 21A.26.078.C.2.d
APPLICATION REVIEW
|
Development Score |
Review Process |
|
0 - 124 points |
Planning Commission Design Review process |
|
125 or more points |
Administrative review |
b. Subsection 21A.26.078.E.3(6) is amended to read as follows:
(6) All front and corner side yard standards in Table 21A.26.078.E.3.b of this Subsection E may be modified through the Design Review process of Chapter 21A.59 of this title, except that the front and corner side yard setback for 400 South shall not be reduced below the minimum.
c. Subsection 21A.26.078.F.2 is amended to read as follows:
2. All developments required to obtain a review score by subsection C of this section shall comply with the following additional design standards. These specific standards may be modified through the Design Review in Chapter 21A.59 of this title if the modifications meet the intent of the specific design standard requested to be modified:
a. EIFS and Stucco Limitation: Use of Exterior Insulation and Finishing System (EIFS) or traditional stucco is not allowed as a building material on the ground floor of street facing building facades. Use of EIFS and stucco is allowed for up to ten percent (10%) of the upper level street facing facades.
b. Front and Corner Side Yard Design Requirements:
(1) In yards greater than ten feet (10’) in depth, one (1) shade tree shall be planted for every thirty feet (30’) of street frontage. For the purpose of this section, a shade tree is any tree that has a mature minimum tree canopy of thirty feet (30’) and a mature height that is forty feet (40’) or greater.
(2) At least fifty percent (50%) of the front or corner side yards shall be covered in live plant material. This can include raised planter boxes. This percentage can be reduced to thirty percent (30%) if the yard includes outdoor dining, patios, outdoor public space, or private yards for ground floor residential uses that cover at least fifty percent (50%) of the provided front or corner side yard.
(3) At least thirty percent (30%) of the front or corner side yard shall by occupied by outdoor dining areas, patios, outdoor public space, or private yards for ground floor residential uses.
(4) Driveways necessary for vehicle access to the site are allowed regardless of compliance with the minimum percentages required by this subsection.
c. Entry Feature Requirements: All required building entries shall include at least one (1) of the following features:
(1) An awning or canopy over the entrance that extends a minimum of five feet (5’) from the street facing building facade;
(2) A recessed entrance that is recessed at least five feet (5’) from the street facing facade;
(3) A covered porch that is at least five feet (5’) in depth and at least forty (40) square feet in size; or
(4) A stoop that is at least two feet (2’) above sidewalk level and that includes an awning or canopy that extends at least three feet (3’) from the street facing building facade.
d. Ground Floor Use Requirement for 400 South and North Temple Boulevard: When facing 400 South or North Temple Boulevard, the ground floor use area required by Chapter 21A.37 of this title shall be built to accommodate an allowed commercial, institutional, or public use. Live/work uses qualify as a commercial use for this subsection.
(1) Exception: Residential uses may be permitted within the required area in lieu of the required use, if the ground floor is designed so that it can be converted to an allowed commercial use in the future. To accommodate this conversion, the shell space of the ground floor shall be built to an occupancy standard required by the adopted building code that can accommodate conversion of the interior of the space to a future permitted commercial use.
(2) The following additional requirements shall apply to the ground floor space if used for residential uses:
(A) The shell space shall be at least twelve feet (12’) in height;
(B) The street facing facade of each ground floor residential unit shall be at least sixty percent (60%) glass;
(C) Each ground floor unit shall have a direct entrance from the sidewalk to the unit;
(D) Each ground floor unit shall be ADA accessible; and
(E) Each ground floor unit shall include a porch, patio, stoop or other entrance feature that is a minimum depth of at least five feet (5’).
SECTION 16. Amending the text of Salt Lake City Code Subsection 21A.28.020.F.2. That Subsection 21A.28.020.F.2 of the Salt Lake City Code (Zoning: Manufacturing Districts: M-1 Light Manufacturing District: Maximum Height: Location Exception) shall be, and hereby is amended to read as follows:
2. In the M-1 Zoning Districts located west of the Salt Lake City International Airport and north of Interstate 80 (I-80), buildings may exceed sixty five feet (65’) in height subject to the design review standards and procedures of Chapter 21A.59 of this title. In no case shall any building exceed eighty five feet (85’).
SECTION 17. Amending the text of Salt Lake City Code Section 21A.30.020. That Section 21A.30.020 of the Salt Lake City Code (Zoning: Downtown Districts: D-1 Central Business District) shall be, and hereby is amended as follows:
a. Subsection 21A.30.020.D.2.a is amended to read as follows:
a. Front and corner side yards: No minimum yards are required, however, no yard shall exceed five feet (5’) except as authorized through the design review process. Such design reviews shall be subject to the requirements of Chapter 21A.59 of this title. Where an entire block frontage is under one ownership, the setback for that block frontage shall not exceed twenty five feet (25’). Exceptions to this requirement may be authorized through the design review process, subject to the requirements of Chapter 21A.59 of this title.
b. Subsection 21A.30.020.E.6 is amended to read as follows:
6. Height Regulations: No corner building shall be less than one hundred feet (100’) nor more than three hundred seventy five feet (375’) in height. The minimum one hundred foot (100’) high portion of the building shall be located not farther than five feet (5’) from the lot line along front and corner lot lines. Buildings higher than three hundred seventy five feet (375’) may be allowed in accordance with the provisions of Subsections E.6.a and E.6.b of this section.
a. Conditions for Taller Corner Buildings: Corner buildings may exceed the three hundred seventy five foot (375’) height limit provided they conform to the following requirements:
(1) To minimize excessive building mass at higher elevations and preserve scenic views, some or all of the building mass over the three hundred seventy five foot (375’) height level shall be subject to additional setback, as determined appropriate through the design review process.
(2) Not less than one percent (1%) of the building construction budget shall be used for enhanced amenities, including art visible to the public, enhanced design elements of the exterior of the building or exterior spaces available to the public for cultural or recreational activities. The property owner shall not be required to exceed one hundred thousand dollars ($100,000.00) in required amenities.
(3) The operation of uses within the building, including accessory parking facilities, shall comply with the adopted traffic demand management guidelines administered by the city traffic engineer.
b. Additional Standards for Certain Height Modifications:
(1) The first one hundred feet (100’) of height shall not be set back from the street front more than five feet (5’) except that setbacks above the first fifty feet (50’) may be approved through the design review process.
(2) Modifying the height will achieve the preservation of a landmark site or contributing structure in an H Historic Preservation Overlay District.
(3) Modifying the height will allow interim service commercial uses to support the downtown community.
c. Design Review Approval: A modification to the height regulations in Subsection E.6.a of this section may be granted through the design review process, subject to conformance with the standards and procedures of Chapter 21A.59 of this title.
c. Subsection 21A.30.020.F.3 is amended to read as follows:
3. Height Regulations: No building shall be more than one hundred feet (100’) in height; provided, that taller buildings may be authorized through the design review process, subject to the requirements of Chapter 21A.59 of this title.
SECTION 18. Amending the text of Salt Lake City Code Subsection 21A.30.030.D. That Subsection 21A.30.030.D of the Salt Lake City Code (Zoning: Downtown Districts: D-2 Downtown Support District: Maximum Building Height) shall be, and hereby is amended to read as follows:
D. Maximum Building Height: No building shall exceed sixty five feet (65’). Buildings taller than sixty five feet (65’) but less than one hundred twenty feet (120’) may be authorized through the design process, subject to the requirements of Chapter 21A.59 of this title.
SECTION 19. Amending the text of Salt Lake City Code Subsection 21A.30.040.E. That Subsection 21A.30.040.E of the Salt Lake City Code (Zoning: Downtown Districts: D-3 Downtown Warehouse/Residential District: Maximum Building Height) shall be, and hereby is amended to read as follows:
E. Maximum Building Height: No building shall exceed seventy five feet (75’). Buildings taller than seventy five feet (75’) but less than ninety feet (90’) may be authorized through the design review process, provided the additional height is supported by the applicable master plan, the overall square footage of the buildings is greater than fifty percent (50%) residential use, and subject to the requirements of Chapter 21A.59 of this title.
SECTION 20. Amending the text of Salt Lake City Code Subsection 21A.30.045.C. That Subsection 21A.30.045.C of the Salt Lake City Code (Zoning: Downtown Districts: D-4 Downtown Secondary Central Business District: D-4 District General Regulations) shall be, and hereby is amended to read as follows:
C. D-4 District General Regulations:
1. Minimum Lot Size: No minimum lot area or lot width is required.
2. Yard Requirements:
a. Front and Corner Side Yards: No minimum yards are required, however, no yard shall exceed five feet (5’) except as authorized through the design review process. Such designs shall be subject to the requirements of Chapter 21A.59 of this title. Where an entire block frontage is under one ownership, the setback for that block frontage shall not exceed twenty five feet (25’). Exceptions to this requirement may be authorized through the design review process subject to the requirements of Chapter 21A.59 of this title.
b. Interior Side and Rear Yards: None required.
3. Restrictions on Parking Lots and Structures: An excessive influence of at or above ground parking lots and structures can negatively impact the urban design objectives of the D-4 district. To control such impacts, the following regulations shall apply to at or above ground parking facilities:
a. Within block corner areas, structures shall be located behind principal buildings, or at least seventy five feet (75’) from front and corner side lot lines.
b. Within the mid block areas, parking structures shall be located behind principal buildings, or at least thirty feet (30’) from front and corner side lot lines. A modification to this requirement may be granted as a conditional use, subject to conformance with the standards and procedures of Chapter 21A.54 of this title. Parking structures shall meet the following:
(1) Retail goods/service establishments, offices and/or restaurants shall be provided on the first floor adjacent to the front or corner side lot line. The facades of such first floor shall be compatible and consistent with the associated retail or office portion of the building and other retail uses in the area.
(2) Levels of parking above the first level facing the front or corner side lot line shall have floors/facades that are horizontal, not sloped.
(3) Mid block surface parking lots shall have a fifteen foot (15’) landscaped setback.
c. Accessory parking structures built prior to the principal use, and commercial parking structures, shall be permitted as conditional uses with the approval of the planning commission pursuant to the provisions of Chapter 21A.54 of this title.
d. No special restrictions shall apply to belowground parking facilities.
e. At grade (surface) parking facilities shall be set back behind the principal building and shall be set back at least seventy five feet (75’) from front and corner side lot lines and landscaped in a way that minimizes visual impacts.
4. Interior Plazas, Atriums and Galleries: Interior plazas, atriums and galleries shall be permitted throughout the D-4 secondary central business district.
5. Location of Service Areas: All loading docks, refuse disposal areas and other service activities shall be located on block interiors away from view of any public street. Exceptions to this requirement may be approved through the site plan review process when a permit applicant demonstrates that it is not feasible to accommodate these activities on the block interior. If such activities are permitted adjacent to a public street, a visual screening design approved by the zoning administrator shall be required.
6. Landscape Requirements: All buildings constructed after April 12, 1995, shall conform to the special landscape requirements applicable to the D-4 Secondary Central Business District as contained in Chapter 21A.48 of this title.
7. Maximum Building Height: No building shall exceed seventy five feet (75’). Buildings taller than seventy five feet (75’) but less than one hundred twenty feet (120’) may be authorized through the design review process, subject to the requirements of Chapter 21A.59 of this title. Additional height may be allowed as specified below:
a. Additional Permitted Height Location: Additional height greater than one hundred twenty feet (120’) but not more than three hundred seventy five feet (375’) in height is permitted in the area bounded by the centerlines of South Temple, West Temple, 200 South, and 200 West Streets.
(1) Conditional Height: Buildings may exceed the one hundred twenty foot (120’) height limit to a maximum height of three hundred seventy five feet (375’), provided they conform to the standards and procedures outlined in the design review process of Chapter 21A.59 of this title and the following requirements:
(A) Additional Setback: To minimize excessive building mass at higher elevations and preserve scenic views, some or all of the building mass shall be subject to additional setback, as determined appropriate through the design review process.
(B) Exception: The first fifty feet (50’) of height shall not be set back from the street front more than five feet (5’) except that setbacks greater than five feet (5’) may be approved through the design review process.
(C) Ground Floor Uses: See Subsection 21A.37.050.A and Section 21A.37.060, Table 21A.37.060, Subsection D of this title for this requirement.
8. Mid Block Walkways: As a part of the city’s plan for the downtown area, it is intended that mid block walkways be provided to facilitate pedestrian movement within the area. To delineate the public need for such walkways, the city has formulated an official plan for their location and implementation, which is on file at the planning division office. All buildings constructed after the effective date hereof within the D-4 downtown district shall conform to this plan for mid block walkways.
9. Mid Block Streets: Developments constructing mid block streets, either privately owned with a public easement or publicly dedicated, that are desired by an applicable master plan:
a. May use a portion or all of the overhead and underground right of way of the new mid block street as part of their developable area irrespective of lot lines, subject to design review and approval of the planning commission.
b. May increase the height of the building on the remaining abutting parcel, subject to the design review process in conformance with the standards and procedures of Chapter 21A.59 of this title.
SECTION 21. Amending the text of Salt Lake City Code Section 21A.31.010. That Section 21A.31.010 of the Salt Lake City Code (Zoning: Gateway Districts: General Provisions) shall be, and hereby is amended as follows:
a. Subsection 21A.31.010.D is amended to read as follows:
D. Conditional Uses: The uses specified as conditional uses in Section 21A.33.060, “Table of Permitted and Conditional Uses in the Gateway District”, of this title, shall be permitted in the gateway district provided they are approved pursuant to the standards and procedures for conditional uses set forth in Chapter 21A.54 of this title, and comply with all other applicable requirements of this title, including the urban design evaluation and/or the design review process established in this chapter and Chapter 21A.59 of this title.
b. Subsection 21A.31.010.E is amended to read as follows:
E. Site Plan Review; Design Review: In certain districts, permitted uses and conditional uses have the potential for adverse impacts if located and oriented on lots without careful planning. Such impacts may interfere with the use and enjoyment of adjacent property and uses. Site plan review is a process designed to address such adverse impacts and minimize them where possible. The design may also be evaluated to address elements of urban design.
Site plan review, pursuant to Chapter 21A.58 of this title, for all of the gateway districts, is required to protect the local economy, maintain safe traffic conditions, maintain the environment, and assure harmonious land-use relationships between commercial uses and more sensitive land uses in affected areas.
Design evaluation is necessary to implement the policies of the urban design plan as adopted by the city council. Design review shall apply to conditional uses in the gateway district. In the gateway district, the design review process is used to evaluate and resolve urban design.
c. Subsection 21A.31.010.H.8 is amended to read as follows:
8. Design Review Approval: A modification to the restrictions on parking lots and structures provisions of this section may be granted through the design review process, subject to conformance with the standards and procedures of Chapter 21A.59 of this title. Such conditional uses shall also be subject to urban design evaluation.
d. Subsection 21A.31.010.P is amended to read as follows:
P. Urban Design: The urban design standards are intended to foster the creation of a rich urban environment that accommodates growth and is compatible with existing buildings and uses in the area. All general development and site plans shall be designed to complement the surrounding existing contiguous (historic) development. The following design standards will provide human scale through change, contrast, intricacy, color and materials where the lower levels of buildings face public streets and sidewalks. They will also spatially define the street space in order to concentrate pedestrian activity, create a clear urban character and promote visibility of commercial activities at the ground level. The standards will also encourage diversity through the use of building forms and materials, while respecting the patterns, styles and methods of construction traditionally used in the gateway area.
The following urban design standards will be reviewed as part of the site plan review process, with assistance from planning division staff as necessary:
1. Architectural Character and Materials:
a. A differentiated base (on a building over 45 feet high) will provide human scale through change, contrast, and intricacy in facade form, color and/or material where the lower levels of the building face the sidewalk(s) and street(s). Scaling elements such as insets and projections serve to break up flat or monotonous facades, and respond to older nearby buildings. Therefore, all buildings in the gateway districts are subject to the following standards:
(1) All buildings over forty five feet (45’) in height shall be designed with a base that is differentiated from the remainder of the building. The base shall be between one and three (3) stories in height, be visible from pedestrian view, and appropriately scaled to the surrounding contiguous historic buildings. The base shall include fenestration that distinguishes the lower from upper floors. Insets and/or projections are encouraged.
(2) All new buildings in the gateway district shall have a minimum of seventy percent (70%) of the exterior material (excluding windows) be brick, masonry, textured or patterned concrete and/or cut stone. With the exception of minor building elements (e.g., soffit, fascia) the following materials are allowed only through the design review process: EIFS, tilt-up concrete panels, corrugated metal, vinyl and aluminum siding, and other materials.
(3) All buildings which have been altered over seventy five percent (75%) on the exterior facade shall comply with the exterior material requirement for new construction. Buildings older than fifty (50) years are exempt from this requirement if alterations are consistent with the existing architecture.
(4) Two-dimensional curtain wall veneer of glass, spandrel glass or metal as a primary building material is prohibited. The fenestration of all new construction shall be three-dimensional (e.g., recessed windows, protruding cornice, etc.).
b. The climate in Salt Lake City is such that in the summer months shade is preferred, and in the winter months protection from snow is preferred. By providing the pedestrian with a sidewalk that is enjoyable to use year round, a pedestrian oriented neighborhood is encouraged. Therefore, new construction in the gateway area is subject to the following standards:
(1) Arcades are permitted in the gateway district, but where an arcade extends over the public way, a revocable permit is required. Where an arcade is on private property facing the street, the maximum setback for the building shall be measured to the supporting beams for the arcade or the facade of the upper floors, not the facade of the arcade level.
(2) Awnings and/or marquees, with or without signage, are required over entry doors which are set back from the property line and may be allowed, under revocable permit, when an entry is at a property line.
(3) Awnings, with or without signage, are permitted over ground level windows. Where awnings extend out over the public way, a revocable permit is required.
2. Windows and Building Fenestration:
a. Buildings whose exteriors are smooth, and do not provide any three-dimensional details or fenestration are not appropriate in the gateway district. Recessed windows will eliminate flat, sterile elevations. Highly reflective materials are distracting, and focus attention away from the positive qualities of the gateway district. Therefore, all buildings in the gateway districts are subject to the following standards:
(1) Buildings with completely smooth exterior surfaces shall not be permitted, all new construction shall have three-dimensional details on the exterior that includes cornices, windowsills, headers and similar features.
(2) All windows shall be recessed from the exterior wall a minimum of three inches (3”). Bay windows, projecting windows, and balcony doors are exempt from this requirement.
(3) The reflectivity of the glass used in the windows shall be limited to eighteen percent (18%) as defined by the ASTA standard.
3. Entrance and Visual Access:
a. The intent in the gateway district is to encourage pedestrian activity between the public street/sidewalk and buildings. Sidewalks shall provide continuous, uninterrupted interest to the pedestrian by providing visual interest and/or amenities. The gateway environment will benefit with increased pedestrian activity; this activity will only occur if opportunities are provided that make walking to a destination a preferred and an enjoyable pursuit. The use of blank building facade walls is discouraged. Therefore, all buildings in the gateway area are subject to the following standards:
(1) Minimum First Floor Glass: The first floor elevation facing a street of all new buildings or buildings in which the property owner is modifying the size of windows on the front facade within the gateway district shall not have less than forty percent (40%) glass surfaces. All first floor glass shall be nonreflective. Display windows that are three-dimensional and are at least two feet (2’) deep are permitted and may be counted toward the forty percent (40%) glass requirement. Exceptions to this requirement may be authorized through the design review process, subject to the requirements of Chapter 21A.59 of this title, and the review and approval of the planning commission. The planning director may approve a modification to this requirement if the planning director finds:
(A) The requirement would negatively impact the historic character of the building, or
(B) The requirement would negatively impact the structural stability of the building.
(C) The ground level of the building is occupied by residential uses, in which case the forty percent (40%) glass requirement may be reduced to twenty five percent (25%).
Appeal of administrative decision is to the planning commission.
(2) Facades: Provide at least one operable building entrance per elevation that faces a public street. Buildings that face multiple streets are only required to have one door on either street, if the facades for both streets meet the forty percent (40%) glass requirement.
(3) Maximum Length: The maximum length of any blank wall uninterrupted by windows, doors, art or architectural detailing at the first floor level shall be fifteen feet (15’).
(4) Screening: All building equipment and service areas, including on-grade and roof mechanical equipment and transformers that are readily visible from the public right of way, shall be screened from public view. These elements shall be sited to minimize their visibility and impact, or enclosed as to appear to be an integral part of the architectural design of the building.
4. Building Lines and Front Area Requirements:
a. A continuity of building frontage adjacent and parallel to the street encourages a more active involvement between building uses and pedestrians. Leftover or ambiguous open space that has no apparent use or sense of place will not contribute positively to an active street life. Therefore, all buildings in the gateway district are subject to the following standard:
(1) The majority of the ground level facade of a building shall be placed parallel, and not at an angle, to the street.
5. Public Amenities and Public Art:
a. Amenities and works of art enhance quality of life as well as visual interest. Public amenities and public art encourage pedestrian activity and contribute to the pedestrian experience. A cohesive, unified lighting and amenity policy will help give the gateway district its own distinctive identity. Therefore, public amenities and public art are subject to the following standards:
(1) Sidewalks and street lamps installed in the public right of way shall be of the type specified in the sidewalk/street lighting policy document.
(2) Public art (which may include artists’ work integrated into the design of the building and landscaping, sculpture, painting, murals, glass, mixed media or work by artisans), that is accessible or directly viewable to the general public shall be included in all projects requiring design review approval for a site or design standard. The plan to incorporate public art shall be reviewed by the Salt Lake art design board.
6. Design Review Approval: A modification to the urban design provisions of this section may be granted through the design review process, subject to conformance with the standards and procedures of Chapter 21A.59 of this title.
SECTION 22. Amending the text of Salt Lake City Code Section 21A.31.020. That Section 21A.31.020 of the Salt Lake City Code (Zoning: Gateway Districts: G-MU Gateway- Mixed Use District) shall be, and hereby is amended as follows:
a. Subsection 21A.31.020.D is amended to read as follows:
1. Commercial Uses, 200 South: All buildings fronting 200 South shall have commercial uses that may include retail goods/service establishments, offices, restaurants, art galleries, motion picture theaters or performing arts facilities shall be provided on the first floor adjacent to the front or corner side lot line. The facades of such first floor shall be compatible and consistent with the associated retail or office portion of the building and other retail uses in the area.
2. Residential Units, 500 West: Buildings fronting on 500 West shall be required to have residential units occupying a minimum of fifty percent (50%) of the structure's gross square footage.
3. Mid Block Street Development: Developments constructing mid block streets, either privately owned with a public easement or publicly dedicated, that are desired by an applicable master plan:
a. May use a portion or all of the overhead and underground right of way of the new mid block street as part of their developable area irrespective of lot lines, subject to design evaluation and approval of the planning commission.
b. May increase the height of the building on the remaining abutting parcel, subject to conformance with the standards and procedures of Chapter 21A.59, “Design Review”, of this title.
4. Design Reviews: A modification to the special provisions of this section may be granted through the design review process, subject to conformance with the standards and procedures of Chapter 21A.59 of this title.
b. Subsection 21A.31.020.E is amended to read as follows:
E. Building Height: The minimum building height shall be forty five feet (45’) and the 200 South Street corridor shall have a minimum height of twenty five feet (25’). The maximum building height shall not exceed seventy five feet (75’) except buildings with nonflat roofs (e.g., pitched, shed, mansard, gabled or hipped roofs) may be allowed, up to a maximum of ninety feet (90’) (subject to Subsection I of this section). The additional building height may incorporate habitable space.
1. Design Review: A modification to the minimum building height or to the maximum building height (up to 120 feet) provisions of this section may be granted through the design review process, subject to conformance with the standards and procedures of Chapter 21A.59 of this title, and subject to compliance to the applicable master plan.
2. Height Exceptions: Spires, tower, or decorative noninhabitable elements shall have a maximum height of ninety feet (90’) and with design review approval may exceed the maximum height, subject to conformance with the standards and procedures of Chapter 21A.59 of this title.
SECTION 23. Amending the text of Salt Lake City Code Subsection 21A.32.020.D. That Subsection 21A.32.020.D of the Salt Lake City Code (Zoning: Special Purpose Districts: RP Research Park District: Maximum Building Height) shall be, and hereby is amended to read as follows:
D. Maximum Building Height: Building height shall be limited to forty five feet (45’). Building heights in excess of forty five feet (45’) but less than seventy five feet (75’) may be approved through the design review process; provided, that the additional height is supported by the master plan and compatible with the adjacent neighborhood.
SECTION 24. Amending the text of Salt Lake City Code Subsection 21A.32.056.D. That Subsection 21A.32.056.D of the Salt Lake City Code (Zoning: Special Purpose Districts: AG-20 Agricultural District: Maximum Building Height) shall be, and hereby is amended to read as follows:
D. Maximum Building Height: Building height shall be limited to forty five feet (45’). Building heights in excess of forty five feet (45’) but not more than sixty five feet (65’) may be approved through the design review process provided that the additional height is compatible with adjacent properties and does not conflict with the airport flight path protection overlay zone.
SECTION 25. Amending the text of Salt Lake City Code Subsection 21A.32.075.D. That Subsection 21A.32.075.D of the Salt Lake City Code (Zoning: Special Purpose Districts: PL-2 Public Lands District: Maximum Building Height) shall be, and hereby is amended to read as follows:
D. Maximum Building Height:
1. Local government facilities, government offices, arenas, stadiums, and exhibition halls: Seventy five feet (75’) provided, that where adjacent to a zoning district allowing greater height, the height standard of the adjacent district shall apply. A modification to the maximum building height provisions of this section may be granted only through the design review process, subject to conformance with the standards and procedures of Chapter 21A.59 of this title, and subject to compliance with the applicable master plan.
2. Other uses: Thirty five feet (35’).
SECTION 26. Amending the text of Salt Lake City Code Subsection 21A.32.080.D. That Subsection 21A.32.080.D of the Salt Lake City Code (Zoning: Special Purpose Districts: I Institutional District: Maximum Building Height) shall be, and hereby is amended to read as follows:
D. Maximum Building Height: Building height shall be limited to thirty five feet (35’). Building heights in excess of thirty five feet (35’) but not more than seventy five feet (75’) may be approved through the design review process; provided, that for each foot of height over thirty five feet (35’), each required yard shall be increased one foot (1’).
SECTION 27. Amending the text of Salt Lake City Code Subsection 21A.32.090.D. That Subsection 21A.32.090.D of the Salt Lake City Code (Zoning: Special Purpose Districts: UI Urban Institutional District: Maximum Building Height) shall be, and hereby is amended to read as follows:
D. Maximum Building Height: Building height shall be limited to seventy five feet (75’). Building heights in excess of seventy five feet (75’) but not more than one hundred twenty feet (120’) may be approved through the design review process; provided, that the additional height is supported by the master plan and compatible with the adjacent neighborhood.
SECTION 28. Amending the text of Salt Lake City Code Section 21A.32.130. That Section 21A.32.130 of the Salt Lake City Code (Zoning: Special Purpose Districts: MU Mixed Use District) shall be, and hereby is amended as follows:
a. Subsection 21A.32.130.E is amended to read as follows:
E. Minimum Yard Area Requirements:
1. Single-Family Detached, Single-Family Attached, Two-Family, and Twin Home Dwellings:
a. Front Yard: Ten feet (10’).
b. Corner Side Yard: Ten feet (10’).
c. Interior Side Yard:
(1) Corner lots: Four feet (4’).
(2) Interior lots:
(A) Single-family attached: No yard is required, however if one is provided it shall not be less than four feet (4’).
(B) Single-family detached, two-family and twin home dwellings: Four feet (4’) on one side and ten (10) on the other.
d. Rear Yard: Twenty five percent (25%) of the lot depth, but need not be more than twenty feet (20’).
2. Multi-Family Dwellings, Including Mixed Use Buildings with Less Than Twenty Five Percent Nonresidential Uses:
a. Front Yard: Ten feet (10’) minimum.
b. Corner Side Yard: Ten feet (10’).
c. Interior Side Yard: Ten feet (10’).
d. Rear Yard: Twenty five percent (25%) of the lot depth, but need not exceed thirty feet (30’), however, if one hundred percent (100%) of the off street parking is provided within the principal building and/or underground, the minimum required rear yard shall be fifteen feet (15’).
3. Nonresidential Development, Including Mixed Uses with Greater Than Twenty Five Percent Nonresidential Uses:
a. Front Yard: Ten feet (10’) minimum.
b. Corner Side Yard: Ten feet (10’).
c. Interior Side Yard: No setback is required.
d. Rear Yard: Twenty five percent (25%) of lot depth, but need not exceed thirty feet (30’).
4. Legally Existing Lots: Lots legally existing on the effective date hereof, April 7, 1998, shall be considered legal conforming lots.
5. Additions: For additions to buildings legally existing on the effective date hereof, required yards shall be no greater than the established setback line.
6. Maximum Setback: A maximum setback is required for at least seventy five percent (75%) of the building facade. The maximum setback is twenty feet (20’). Exceptions to this requirement may be authorized through the design review process, subject to the requirements of Chapter 21A.59 of this title, and the review and approval of the planning commission. The planning director, in consultation with the transportation director, may modify this requirement if the adjacent public sidewalk is substandard and the resulting modification to the setback results in a more efficient public sidewalk. The planning director may waive this requirement for any addition, expansion, or intensification, which increases the floor area or parking requirement by less than fifty percent (50%) if the planning director finds the following:
a. The architecture of the addition is compatible with the architecture of the original structure or the surrounding architecture.
b. The addition is not part of a series of incremental additions intended to subvert the intent of the ordinance.
Appeal of administrative decision is to the planning commission.
7. Parking Setback: Surface parking lots within an interior side yard shall maintain a twenty five foot (25’) landscape setback from the front property line or be located behind the primary structure. Parking structures shall maintain a forty five foot (45’) minimum setback from a front or corner side yard property line or be located behind the primary structure. There are no minimum or maximum setback restrictions on underground parking. The planning director may modify or waive this requirement if the planning director finds the following:
a. The parking is compatible with the architecture/design of the original structure or the surrounding architecture.
b. The parking is not part of a series of incremental additions intended to subvert the intent of the ordinance.
c. The horizontal landscaping is replaced with vertical screening in the form of berms, plant materials, architectural features, fencing and/or other forms of screening.
d. The landscaped setback is consistent with the surrounding neighborhood character.
e. The overall project is consistent with Section 21A.59.050 of this title.
Appeal of administrative decision is to the planning commission.
b. Subsection 21A.32.130.F is amended to read as follows:
F. Maximum Building Height: The maximum building height shall not exceed forty five feet (45’), except that nonresidential buildings and mixed use buildings shall be limited by Subsections F.1 and F.2 of this section. Buildings taller than forty five feet (45’), up to a maximum of sixty feet (60’), may be authorized through the design review process, subject to the requirements of Chapter 21A.59 of this title, provided that the additional height is for residential uses only.
1. Maximum Height for Nonresidential Buildings: Nonresidential buildings shall not exceed thirty feet (30’) or two (2) stories, whichever is less.
2. Maximum Height of Mixed Use Buildings of Residential and Nonresidential Uses: Mixed use buildings shall not exceed forty five feet (45’). Nonresidential uses in a mixed use building are limited to the first two (2) stories.
SECTION 29. Amending the text of Salt Lake City Code Section 21A.33.020. That Section 21A.33.020 of the Salt Lake City Code (Zoning: Table of Permitted and Conditional Uses for Residential Districts) shall be, and hereby is amended to amend qualifying provision number 6 to read as follows:
6. Building additions on lots less than 20,000 square feet for office uses may not exceed 50 percent of the building’s footprint. Building additions greater than 50 percent of the building’s footprint or new office building construction are subject to a design review.
SECTION 30. Amending the text of Salt Lake City Code Section 21A.33.030. That Section 21A.33.030 of the Salt Lake City Code (Zoning: Table of Permitted and Conditional Uses for Commercial Districts) shall be, and hereby is amended to amend qualifying provision number 1 to read as follows:
1. Development in the CS District shall be subject to planned development approval pursuant to the provisions of Chapter 21A.55 of this title. Certain developments in the CSHBD Zone shall be subject to the design review process pursuant to the provisions of Subsection 21A.26.060.D and Chapter 21A.59 of this title.
SECTION 31. Amending the text of Salt Lake City Code Section 21A.33.040. That Section 21A.33.040 of the Salt Lake City Code (Zoning: Table of Permitted and Conditional Uses for Manufacturing Districts) shall be, and hereby is amended to amend qualifying provision number 7 to read as follows:
7. Building additions on lots less than 20,000 square feet for office uses may not exceed 50 percent of the building’s footprint. Building additions greater than 50 percent of the building’s footprint or new office building construction are subject to a design review.
SECTION 32. Amending the text of Salt Lake City Code Section 21A.33.050. That Section 21A.33.050 of the Salt Lake City Code (Zoning: Table of Permitted and Conditional Uses for Downtown Districts) shall be, and hereby is amended as follows:
a. Qualifying provision number 4 is amended to read as follows:
4. Building additions on lots less than 20,000 square feet for office uses may not exceed 50 percent of the building’s footprint. Building additions greater than 50 percent of the building’s footprint or new office building construction are subject to a design review (Chapter 21A.59).
b. Qualifying provision number 7 is amended to read as follows:
7. Subject to conformance with the provisions of Chapter 21A.59, “Design Review”, of this title.
SECTION 33. Amending the text of Salt Lake City Code Section 21A.33.060. That Section 21A.33.060 of the Salt Lake City Code (Zoning: Table of Permitted and Conditional Uses in the Gateway District) shall be, and hereby is amended to amend qualifying provision number 3 to read as follows:
3. Subject to conformance with the provisions of Chapter 21A.59, “Design Review”, of this title.
SECTION 34. Amending the text of Salt Lake City Code Section 21A.34.090. That Section 21A.34.090 of the Salt Lake City Code (Zoning: Overlay Districts: SSSC South State Street Corridor Overlay District) shall be, and hereby is amended as follows:
a. Subsection 21A.34.090.C is amended to read as follows:
C. Minimum Yard Requirement Exemption:
1. Front Yard: Structures located within the CC corridor commercial base zoning district and the SSSC South State Street Corridor Overlay District are exempted from the minimum front yard setback requirement. The required fifteen foot (15’) landscaped setback applies to all other uses, including open storage and vacant land.
2. Maximum Setback: A maximum setback is required for at least thirty five percent (35%) of the building facade. The maximum setback is twenty five feet (25’). Exceptions to this requirement may be authorized through the design review process, subject to the requirements of Chapter 21A.59 of this title, and the review and approval of the planning commission. The planning director may waive this requirement for any addition, expansion, or intensification, which increases the floor area or parking requirement by less than fifty percent (50%) if the planning director finds the following:
a. The architecture of the addition is compatible with the architecture of the original structure or the surrounding architecture.
b. The addition is not part of a series of incremental additions intended to subvert the intent of the ordinance.
Appeal of administrative decision is to the planning commission.
3. Parking Setback: Surface parking lots within an interior side yard shall maintain a twenty five foot (25’) landscape setback from the front property line or be located behind the primary structure. Parking structures shall maintain a forty five foot (45’) minimum setback from a front or corner side yard property line or be located behind the primary structure. There are no minimum or maximum setback restrictions on underground parking. The planning director may modify or waive this requirement if the planning director finds the following:
a. The parking is compatible with the architecture/design of the original structure or the surrounding architecture.
b. The parking is not part of a series of incremental additions intended to subvert the intent of the ordinance.
c. The horizontal landscaping is replaced with vertical screening in the form of berms, plant materials, architectural features, fencing and/or other forms of screening.
d. The landscaped setback is consistent with the surrounding neighborhood character.
e. The overall project is consistent with Section 21A.59.050 of this title.
Appeal of administrative decision is to the planning commission.
b. Subsection 21A.34.090.E is amended to read as follows:
E. Entrance and Visual Access:
1. Minimum First Floor Glass: The first floor elevation facing a street of all new buildings or buildings in which the property owner is modifying the size of windows on the front facade, shall not have less than forty percent (40%) glass surfaces. All first floor glass shall be nonreflective. Display windows that are three-dimensional and are at least two feet (2’) deep are permitted and may be counted toward the forty percent (40%) glass requirement. Exceptions to this requirement may be authorized through the design review process, subject to the requirements of Chapter 21A.59 of this title, and the review and approval of the planning commission. The planning director may approve a modification to this requirement if the planning director finds:
a. The requirement would negatively impact the historic character of the building,
b. The requirement would negatively impact the structural stability of the building, or
c. The ground level of the building is occupied by residential uses, in which case the forty percent (40%) glass requirement may be reduced to twenty five percent (25%).
Appeal of administrative decision is to the planning commission.
2. Facades: Provide at least one operable building entrance per elevation that faces a public street. Buildings that face multiple streets are only required to have one door on any street, if the facades for all streets meet the forty percent (40%) glass requirement as outlined in Subsection E.1 of this section.
3. Maximum Length: The maximum length of any blank wall uninterrupted by windows, doors, art or architectural detailing at the first floor level shall be fifteen feet (15’).
4. Screening: All building equipment and service areas, including on grade and roof mechanical equipment and transformers that are readily visible from the public right of way, shall be screened from public view. These elements shall be sited to minimize their visibility and impact, or enclosed as to appear to be an integral part of the architectural design of the building.
SECTION 35. Amending the text of Salt Lake City Code Section 21A.37.040. That Section 21A.37.040 of the Salt Lake City Code (Zoning: Design Standards: Modifications of Design Standards) shall be, and hereby is amended to read as follows:
21A.37.040: MODIFICATIONS OF DESIGN STANDARDS:
The planning commission may modify any of the design standards identified in this chapter subject to the requirements of Chapter 21A.59, “Design Review”, of this title. The applicant must demonstrate that the modification meets the intent for the specific design standards requested to be modified, the standards for design review and any adopted design guidelines that may apply. For properties subject to the H Historic Preservation Overlay District, the historic landmark commission may modify any of the design standards in this chapter as part of the review of the standards in Section 21A.34.020 of this title.
SECTION 36. Amending the text of Salt Lake City Code Subsection 21A.37.050.A.2. That Subsection 21A.37.050.A.2 of the Salt Lake City Code (Zoning: Design Standards: Design Standards Defined: Ground Floor Use and Visual Interest) shall be, and hereby is amended to read as follows:
2. Ground Floor Use and Visual Interest: This option allows for some flexibility in the amount of required ground floor use, but in return requires additional design requirements for the purpose of creating increased visual interest and pedestrian activity where the lower levels of buildings face streets or sidewalks. An applicant utilizing this option must proceed through the design review process for review of the project for determination of the project’s compliance with those standards, and in addition, whether it contributes to increased visual interest through a combination of increased building material variety, architectural features, facade changes, art, and colors; and, increased pedestrian activity through permeability between the building and the adjacent public realm using niches, bays, gateways, porches, colonnades, stairs or other similar features to facilitate pedestrian interaction with the building.
SECTION 37. Amending the text of Salt Lake City Code Section 21A.46.052. That Section 21A.46.052 of the Salt Lake City Code (Zoning: Signs: Signs Exempt from Specific Criteria Except Fees and Permits) shall be, and hereby is amended to read as follows:
21A.46.052: SIGNS EXEMPT FROM SPECIFIC CRITERIA EXCEPT FEES AND PERMITS:
Signs within open air malls, stadiums or other enclosed spaces that do not have a roof, but are otherwise physically confined and separated from the public street right of way are required to obtain sign permits and pay fees to ensure public safety and compliance with the city’s building code. Such signs are subject to sign ordinance regulations unless a sign master plan agreement was specifically considered as part of a planned development as outlined in Chapter 21A.55 of this title or was specifically authorized through the design review process as outlined in Chapter 21A.59 of this title. The sign master plan agreement shall only be authorized for signage within the open air mall or stadium that is not oriented to the public street. Signage oriented to a public street or to a surface parking lot is specifically not exempt from sign ordinance requirements and not subject to modification through a sign master plan agreement.
SECTION 38. Amending the text of Salt Lake City Code Subsection 21A.58.070.E. That Subsection 21A.58.070.E of the Salt Lake City Code (Zoning: Site Plan Review: Standards for Site Plan Review: General Plan Conformity) shall be, and hereby is amended to read as follows:
E. General Plan Conformity: The planning division shall review site plans for all applications for conditional uses (including planned developments) and design reviews with reference to adopted plans and the conformity of the site plans with the objectives and policies of the adopted plans.
SECTION 39. Amending text of Salt Lake City Code Section 21A.60.020. That Section 21A.60.020 of the Salt Lake City Code (Zoning: List of Terms: List of Defined Terms), shall be, and hereby is, amended as follows:
f. Deleting the term “Conditional building and site design review”. That Section 21A.60.020 of the Salt Lake City Code is amended to delete the term “Conditional building and site design review”.
g. Adding the term “Design review”. That Section 21A.60.020 of the Salt Lake City Code is amended to add the term “Design review”.
SECTION 40. Amending text of Salt Lake City Code Section 21A.62.040. That Section 21A.62.040 of the Salt Lake City Code (Zoning: Definitions: Definitions of Terms), shall be, and hereby is, amended as follows:
a. Deleting the definition “CONDITIONAL BUILDING AND SITE DESIGN REVIEW”. That Section 21A.62.040 of the Salt Lake City Code is amended to delete the definition “CONDITIONAL BUILDING AND SITE DESIGN REVIEW”.
b. Adding a definition of the term “Design review”. That Section 21A.62.040 of the Salt Lake City Code is amended to add a new definition of “Design review”, which definition shall be inserted in alphabetical order and shall read as follows:
SECTION 41. Effective Date. This Ordinance shall become effective on the date of its first publication.
Passed by the City Council of Salt Lake City, Utah, this 2nd day of April, 2019.
Bill No. 14 of 2019.
Published: April 10, 2019.